کدخبر :286006 پرینت
17 مهر 1402 - 09:32

قدیمی‌ترین ردپای انسان در آمریکا

زمان و نحوه مستقرشدن اولین انسان‌ها در قاره آمریکا از زمان‌های قدیم موضوع بحث‌وجدل دانشمندان بوده است. در قرن بیستم، باستان‌شناسان باور داشتند که انسان‌ها زودتر از ۱۴ هزار سال پیش به آمریکای شمالی نرسیده‌اند. اما حالا در تحقیقات جدیدی گفته شده است که انسان‌ها حدود ۲۳ هزار سال قبل، یعنی حدود ۷ هزار سال زودتر به قاره آمریکا پا گذاشته‌اند.

متن خبر

به گزارش سیتنا، کارشناسان قرن بیستم تصور می‌کردند که حضور انسان‌ها در قاره آمریکا با تشکیل یک گذرگاه بدون یخ بین دو صفحه یخی عظیم که کانادای کنونی و شمال ایالات‌متحده را شامل می‌شود، مصادف بوده است. براساس این ایده، گذرگاه مذکور که در اثر ذوب‌شدن یخ‌ها در پایان آخرین عصر یخبندان ایجاد شده، به انسان اجازه داده تا از آلاسکا به قلب آمریکای شمالی برود. بااین‌حال، به‌مرورزمان این ایده از بین رفت. در دهه‌های اخیر گفته شده که اولین شواهد از حضور انسان‌ها در قاره آمریکا مربوط به ۱۴ هزار تا ۱۶ هزار سال پیش بوده است.

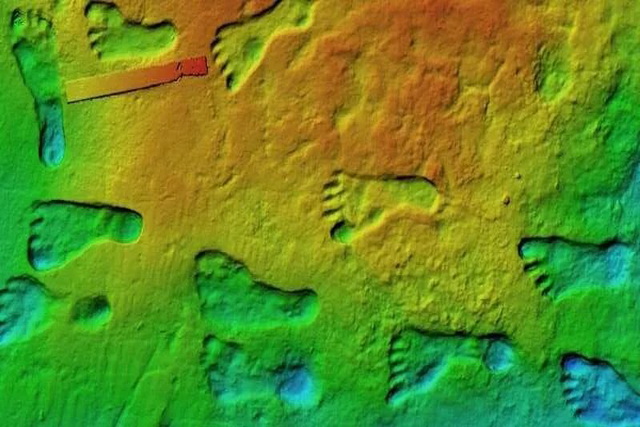
ردپا گروهی از افراد در سنین مختلف

در سپتامبر ۲۰۲۱، مقاله‌ای توسط مجله Science منتشر شد که در آن قدمت نشانه‌های فسیلی کشف‌شده از انسان‌ها در نیومکزیکو به حدود ۲۳ هزار سال پیش و دوران اوج آخرین عصر یخبندان نسبت داده شده بود. این مطالعه جدید، اطلاعات ارائه‌شده در آن مقاله را تأیید می‌کند و گفته شده است که قدمت ردپای باستانی در پارک ملی «وایت سندز» نیومکزیکو به حدود ۲۳ هزار سال پیش برمی‌گردد و آن را به قدیمی‌ترین نشانه‌های بشر در قاره آمریکای تبدیل می‌کند.

همچنین این تحقیق جدید، شواهد بیشتری را ارائه می‌کند که انسان‌های پیشین در اوج آخرین عصر یخبندان در دنیای جدید حضور داشته‌اند؛ زمانی که یخچال‌های طبیعی احتمالاً حدود یک‌چهارم مساحت زمین را پوشانده بودند.

ردپای انسان در محل مطالعه

ردپاهای پارک ملی «وایت سندز» اولین‌بار سال ۲۰۰۹ در کنار ساحل یک دریاچه ماقبل تاریخ کشف شد. تا نوامبر سال ۲۰۲۱، مجموعاً ۶۱ اثر انسانی و همچنین شواهدی از ماموت‌ها، دایرولف‌ها و شیرهای آمریکایی پیدا شد. در مطالعه مربوط به سال ۲۰۲۱ که اکنون یافته‌های آن تأیید شده است، براساس روش تاریخ‌گذاری رادیوکربن که سازوکاری برای تعیین قدمت موجودات مصرف‌کننده کربن است، دانشمندان قدمت دانه‌های گیاهی آبزی را که در این ردپاها آمیخته شده بودند، به‌دست آوردند و تخمین زدند که این آثار کشف‌شده مربوط به ۲۳ هزار تا ۲۱ هزار سال پیش است.

تاریخ‌گذاری رادیوکربن براین‌اساس است که ایزوتوپ‌های کربن در ارگانیسم‌هایی که در ۵۰ هزار سال گذشته مرده‌اند، چگونه دچار واپاشی رادیواکتیو می‌شوند. درواقع با این روش می‌توان هر نوع ماده آلی را تاریخ‌گذاری کرد.

انتهای پیام

نظرات خود را با ما درمیان بگذارید

افزودن دیدگاه جدید

کپچا
CAPTCHA ی تصویری
کاراکترهای نمایش داده شده در تصویر را وارد کنید.