کدخبر :285348 0 10
29 شهریور 1402 - 18:41

یک قاره جدید پیدا شده‌است!

این یک واقعیت شناخته شده‌است که هفت قاره در جهان وجود دارد. اما، آیا می‌دانستید که شانسی برای قاره هشتم هم وجود دارد؟

متن خبر

به گزارش سیتنا، طبق گزارش‌ها، حدود ۳۷۵ سال طول کشید تا دانشمندان هشتمین قاره جهان را کشف کنند. گفته می‌شود که در تمام مدت از دید پنهان بوده‌است. با این حال، رازهایی پیرامون آن وجود دارد.

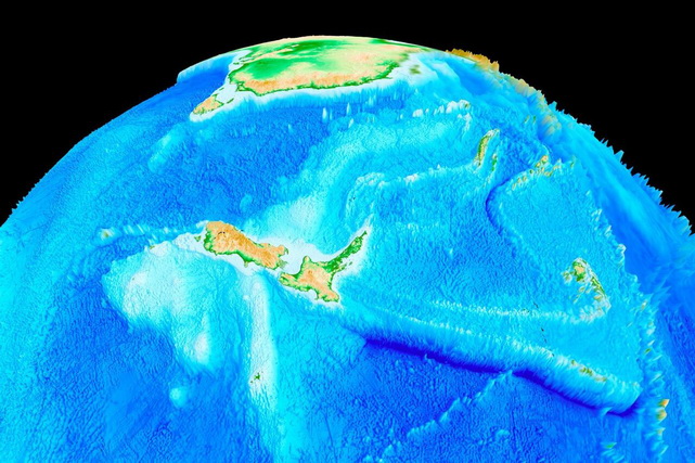
بر اساس گزارش‌ها، زمین شناسان بخش بزرگی از زمین را در اعماق اقیانوس آرام کشف کردند؛ با این حال، حدود ۹۴٪ از آن قاره در واقع زیر آب است و با این کشف، اکنون شواهد کافی وجود دارد که وجود هشتمین قاره جهان را ثابت می‌کند.

زلاندیا، هشتمین قاره، ظاهراً در عمق ۱۰۶۶ متری در داخل منطقه جنوبی اقیانوس آرام قرار دارد. بحث‌های زیادی پیرامون آن وجود داشته‌است و اینکه آیا باید آن را قاره نامید یا خیر. اگرچه خود اصطلاح "قاره" قابل بحث است، دانشمندان بر این عقیده هستند که یک قاره باید دارای مرزهایی باشد که به وضوح مشخص شده‌است و باید بیش از ۱ میلیون کیلومتر مربع وسعت داشته باشد.

همچنین، طبق تعریف، یک قاره نیز باید بالاتر از پوسته اطراف اقیانوس قرار گیرد و باید پوسته قاره‌ای ضخیم‌تر از پوسته اقیانوسی داشته باشد. قاره جدید، تمام معیارهای مهم را برآورده می‌کند، اما زیر اقیانوس است. همچنین مسئله دیگر این است که قدیمی‌ترین نمونه‌های سنگ و پوسته از اینجا حدود ۵۰۰ میلیون سال پیش است، در حالی که قدمت پوسته سایر قاره‌ها به حدود ۱ میلیارد سال می‌رسد.

همچنین، تئوری‌های زیادی پیرامون آن وجود دارد که نشان می‌دهد این قاره ممکن است دو برابر بزرگ‌تر از مقداری باشد که دانشمندان تصور می‌کردند.

انتهای پیام

10
نظرات خود را با ما درمیان بگذارید

افزودن دیدگاه جدید

کپچا
CAPTCHA ی تصویری
کاراکترهای نمایش داده شده در تصویر را وارد کنید.