کشف راز یک و نیم میلیارد ساله

کشف راز یک و نیم میلیارد ساله
فسیل‌های ریزی که از حدود ۲ میلیارد سال پیش در میان صخره‌های باستانی باقی مانده‌اند، قدیمی‌ترین شواهد و مدارک فتوسنتز روی زمین را در اختیار دانشمندان گذاشته‌اند.

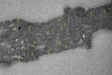
به گزارش سیتنا، در چینه‌بندی‌ «مک‌درموت» در صحرای شمال استرالیا، ساختارهای ریزی موسوم به «تیلاکوید» (thylakoid) در درون چیزی کشف شده‌ است که گمان می‌رود سیانوباکتری‌های فسیل شده با قدمت حدود ۱.۷۵ میلیارد سال باشد.

این ساختارها امروزه در درون سلول های ارگانیسم‌های دارای فرایند فتوسنتز یافت می‌شوند که حاوی رنگدانه‌های کلروفیل هستند و برای جذب نور خورشید به منظور فتوسنتز استفاده می شوند.

معنی این مساله آن است که این فسیل‌های ریز (میکروفسیل‌ها) قدیمی‌ترین مدرک مستقیم از وجود فتوسنتز هستند که این مساله یک سن حداقلی جدید برای ظهور سیانوباکتری‌های دربردارنده تیلاکوید برای دانشمندان مطرح می‌کند و همچنین یک ابزار جدید برای شناخت اکوسیستم‌های اولیه زمین و چگونگی پدیدار شدن حیات روی سیاره زمین است.

گروه تحقیقاتی زیر نظر «کاترین دمولین» دیرین میکروبیولوژیست در دانشگاه «لی‌یژ» (بلژیک) گفت: مطالعه ما شواهد و مدارک مستقیمی از وجود سیانوباکتری فعال از حیث متابولیک و انجام فتوسنتز اکسیژنی توسط آنها ارائه می دهد. این یافته‌ها متضمن این معنی است که تحلیل مبسوط سایر فسیل ها می تواند ساختارهای بیشتری از این دست را شناسایی کند.

فتوسنتز که نور خورشید را مهار کرده و از این طریق نور و دی‌اکسید کربن را به گلوگز و اکسیژن تبدیل می‌کند، پایه و اساس بقای تقریبا تمام موجودات زنده است. نه تنها ارگانیسم های فتوسنتتیک پایه و اساس بسیاری از شبکه‌های غذایی را شکل می‌دهند بلکه همچنین فرایندهای متابولیک آنها اتمسفر زمین را از اکسیژن لازم برای تنفس بسیاری از موجودات زنده پر می‌کنند.

ما می‌دانیم که در اوایل تاریخ، زمین اکسیژن زیادی وجود نداشت اما شواهد حاکی است که سطح اکسیژن از حدود ۲.۴ میلیارد سال پیش ناگهان افزایش قابل ملاحظه‌ای پیدا کرد که به «رویداد بزرگ اکسیداسیون» معروف است اما معلوم نیست که چه عاملی موجب آن شد اما یک احتمال برای توضیح این مساله ظهور ارگانیسم‌های فتوسنتتیک است.

این کشف جدید سابقه فسیلی تیلاکوید را به میزان ۱.۲ میلیارد سال به عقب‌تر (قدیم‌تر) می‌برد که به این معنی است که فتوسنتز اکسیژنی باید پیش از آن زمان تکامل یافته باشد.

با این حال هنوز نمی‌دانیم که آیا این مساله در رویداد بزرگ اکسیداسیون نقش داشته است یا نه. تنها کشف و مطالعه دقیق فسیل های قدیمی‌تر می تواند پاسخی برای این سوال مهم ارائه دهد.

انتهای پیام


Source URL: https://www.citna.ir/news/289743/کشف-راز-یک-و-نیم-میلیارد-ساله